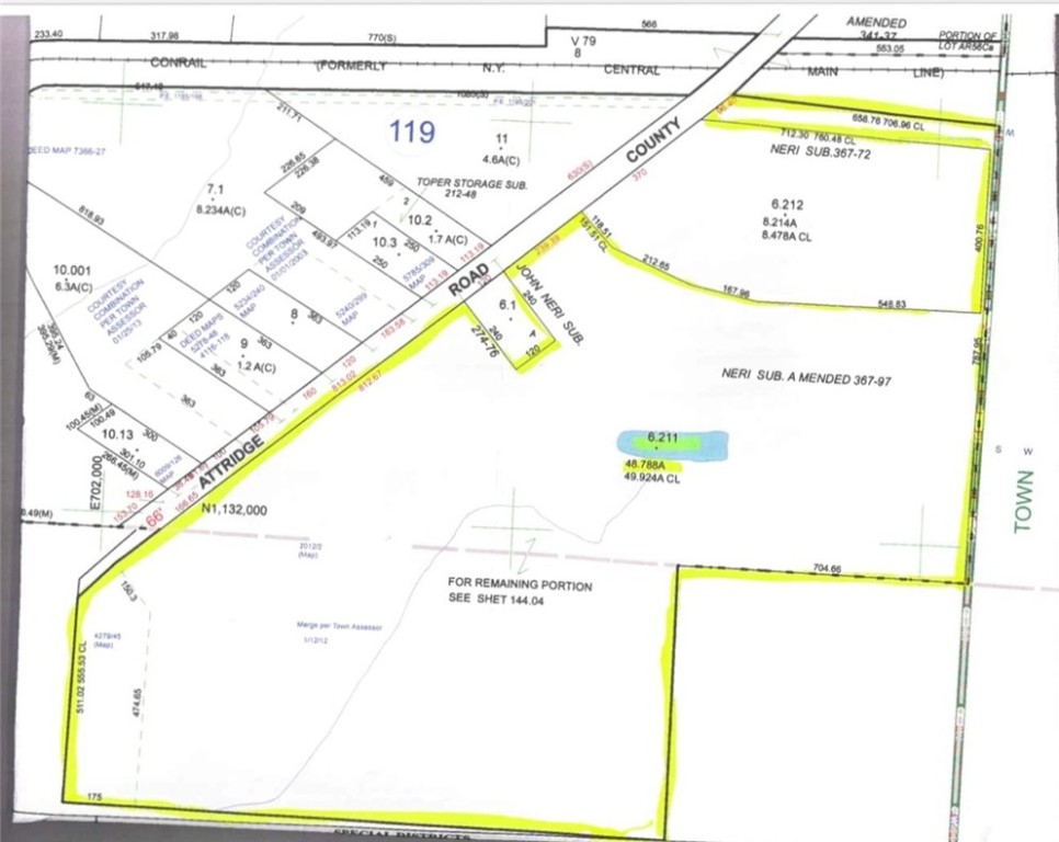
490 Attridge RoadChurchville, NY 14428




Mortgage Calculator
Monthly Payment (Est.)
$57,030Wow!! A commercial developer's dream!!! An opportunity to purchase nearly 93 acres with nearly half a mile frontage of Prime commercial industrial zoned land in Churchville-Chili doesn't come very often! This property borders the desirable developed commercial district on Route 259/Union St in Chili and is an ideal location for an industrial park. The sellers will consider dividing into smaller parcels and have already sold 8 additional acres to a national industrial corporation but this amount of acreage is ideal for a developer! Lot frontage is approximate and based off of the map from assessor because Monroe County has not updated the square footage for frontage or lot depth.
| 3 weeks ago | Listing first seen on site | |
| 4 weeks ago | Listing updated with changes from the MLS® |
The data relating to real estate on this website comes in part from the Internet Data Exchange (IDX) Program of NYSAMLS’s. Real estate listings held by firms other than are marked with the IDX logo and detailed information about them includes the Listing Broker’s Firm Name.
All information deemed reliable but not guaranteed and should be independently verified. All properties are subject to prior sale, change, or withdrawal. Neither the listing broker(s) nor shall be responsible for any typographical errors, misinformation, misprints, and shall be held totally harmless. © Last checked: 2025-12-05 03:50 AM UTC CNYIS, UNYREIS, WNYREIS. All rights reserved.


Did you know? You can invite friends and family to your search. They can join your search, rate and discuss listings with you.