400 N Main StreetVestal, NY 13850




Mortgage Calculator
Monthly Payment (Est.)
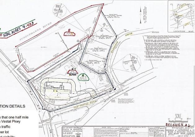
$2,966Development opportunity in the heart of Vestal, NY with this 4.23-acre parcel of commercial land, corner of N. Main Street and Old Vestal Road. Across from Kwik Fill & Warner Gas, this high-visibility location offers strong traffic counts and access to Vestal Parkway, one of the region’s main commercial corridors. Vestal features a strong mix of national retailers, restaurants, office, parks. With nearby Binghamton University, a solid residential base, and steady growth, Vestal remains one of the top locations for retail and mixed-use development in New York’s Southern Tier. The site’s proximity to major roadways and retail hubs makes it ideal for businesses seeking drive-by exposure and convenience. Zoned commercial, the property supports a range of uses including retail, office, service businesses, and potential residential or mixed-use development. Its corner location, visibility, and access enhance its appeal to developers and investors looking for long-term value.
| 2 months ago | Price changed to $650,000 | |
| 2 months ago | Listing updated with changes from the MLS® | |
| 7 months ago | Listing first seen on site |


Did you know? You can invite friends and family to your search. They can join your search, rate and discuss listings with you.